小伙伴们!
大家期待的
唐山狂欢动物城水世界进度刷新啦
具体地点、详情
一起来看看吧
↓↓↓
唐山狂欢动物城水世界招标公告
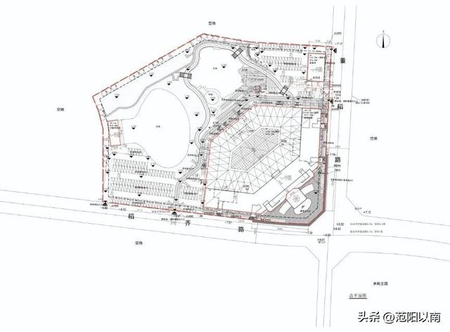
总用地面积超过2.8万平方米项目名称:唐山狂欢动物城水世界游乐设备采购项目地点:河北省唐山市路南区稻齐路与董稻路交叉口西北角项目内容:唐山狂欢动物城水世界项目,总用地面积28694.14㎡、总建筑面积19595.54㎡,主要建设内容包括狂欢乐园、设备间以及室外游乐区域等。
早在日前
路南区人民政府官网发布
唐山狂欢动物城水世界
项目批后公示
唐山狂欢动物城水世界工程总承包项目,坐落于河北省唐山市路南区稻齐路与董稻路交叉口西北角,总建筑面积2万平方米。主要建设内容包括狂欢乐园、设备间、室外机房及室外游乐区域等,是集休闲、娱乐、文化于一体的大型综合性项目。设计院负责全部设计内容和相对应的设计管理工作。
该项目整体规划布局采用了留白的形式,西侧与北侧大片绿化水景,中间点缀水景河道,整体体现为白空间,整个场地的侧重点放在场地的东南角的狂欢乐园,使场地的经济价值和街角价值得到最大程度利用的同时,也丰富了沿街立面。此外,东南角的米粒王国与之相呼应,进一步增添了该区域内的娱乐与活力氛围。
项目建成后,在推动唐山旅游业态蓬勃发展上将发挥重要作用、注入崭新活力。
另外小编还给大家带来了
唐山可以玩一天的
免费宝藏好去处推荐!
一起来码住~
国庆剩下几天假期
出发去玩不愁了!
↓↓↓
室外公园类别
凤凰山公园
凤凰山公园位于河北唐山市中心区,面积19.75万平方米,是唐山市建园最早、功能设施完备的公园。作为唐山历史的见证者,凤凰山公园承载了几代人的美好记忆,留下了无数张美妙的倩影。

一、地点河北省唐山市路北区文化路29号二、交通(供参考)4路、5路、28路、32路、49路、62路、77路、游3路、游6路、游7路在凤凰山公园站下车三、门票价格:免费
揽月湾
揽月湾旅游景区,坐落于美丽的渤海湾,位于河北省唐山市曹妃甸新城,距北京240公里,距天津100公里,被誉为“离北京最近的海”,是曹妃甸落实“魅力港城、向海发展“战略重点打造的曹妃甸文旅特色品牌。

一、开放时间:全天开放二、位置:河北省唐山市曹妃甸区揽月湾旅游景区南湖公园南湖公园,全称为唐山南湖中央生态公园,位于河北省唐山市,是融自然生态、历史文化和现代文化为一体的大型城市中央生态公园。

一、地点河北省唐山市路南区丹凤路与艺文道交叉路口往东北150米。二、交通攻略(供参考)游客中心停车场(公交站)步行156米。公交31路、66路、79路、游5路、游6路。唐山图书馆(公交站)步行501米。公交31路、66路、79路、游5路、游6路。南湖游客中心(公交站)步行546米。公交10路、31路、66路、75路、79路、84路游3路、游5路、游6路。
小南公园
唐山市中心区有一个遛娃、运动健身好去处32000㎡公园免费逛!设有儿童游乐园、足球场、趣味水景、艺术廊架林、林荫广场等多个区域。

位置:位于建设南路和南新西道交叉口万象森林馆(植物风情馆)
植物风情馆是河北省首个大型热带植物馆,栽植热带植物1033种。

一、营业时间9:00-17:00每周一(法定节假日除外)和法定节假日后的首个工作日全天闭园进行设备维护、植物保养等工作,不要跑空哦~二、预约方式无需预约,免费参观。三、地址、交通公共交通指南:乘坐市内公交游5、游6、游3、31路、66路、79路,至市民服务中心站下车即可抵达景区~指路:推荐世园广场门入园,步行20分钟左右即可抵达!️停车指南:世园广场1号停车场、市民服务中心停车场
室内场馆类别
唐山海洋馆
唐山海洋馆是唐山首家集生物互动、科技探索、亲子娱乐、生物表演、潜水教学于一体的新型海洋馆。
总建筑面积为23000m²,其中馆内游览面积13000㎡,出口娱乐广场占地面积10000㎡。可同时容纳8000人观光游览。馆内温度常年保持在大约25°左右。

唐山美术馆
开馆时间
周二至周日(周一闭馆)
9:00—17:00(16:30停止入馆)
预约方式
唐山美术馆进馆参观无需提前预约,携带身份证即可入馆参观。

唐山皮影乐园
游玩场馆
1、暑期限定水乐园狂欢
低幼水乐园天花板,水深10厘米左右,适合小龄宝宝。
园内地址:旋转皮影南侧(离大门口很近)
2、低碳生活馆:室内恒温 25℃的避暑胜地!
3、旋转皮影
票务信息:
皮影主题乐园门票:免费开放。
1.游客可持身份证原件刷证入园,无需线上预约。
2. 无身份证游客(如儿童、身份证遗失者等)需通过景区账号提前预约,凭预约码入园。
3. 每个身份证,每日仅可使用一次。

唐山市科技馆
展厅介绍
唐山科技馆一至四层为常设展厅,设有标志性展项“天地人和”,特效影院;6大主题展区,17个分展区;同时设有科学秀场、青少年创客教育;五、六层设有会议区和临展区等科普工作配套区域。
开馆时间
- 周二至周日开馆(特殊检修和春节期间除外),周一闭馆(国家法定节假日除外)
- 9:30—17:00(16:00停止入场,16:30清场)
预约方式
点击关注唐山城记
在消息栏中发送关键词
【科技馆】
点击相关预约界面行进预约

若从未在新系统注册过的,要点击“注册账号”进行注册
路北区文化馆
场馆介绍
唐山市路北区文化馆建于1983年9月,坐落在唐山市路北区翔云西里小区内。
开馆时间
09:00-18:00
场馆地址
路北区光明北路455号
联系电话
0315-7062018、0315-2211971
预约方式
在消息栏中发送关键词【文化馆】点击相关预约界面行进预约

唐山市图书馆
开馆时间
总服务台、阅览平台、社会科学文献借阅区(一)、社会科学文献借阅区(二)
周二至周日
09:00-20:00 (5月至9月)
09:00-18:00 (10月至4月)
绘本借阅区(南)
周二至周日
09:00-12:00、14:00-20:00(5月至9月)
09:00-12:00、14:00-18:00(10月至4月)
其他区域
周二至周日
09:00-12:00,14:00-18:00 (全年)
交通指南
地址:路南区丹凤路6号;
公交路线:10路、84路、游3路、79路、75路到“唐山大剧院”下车东行60米。乘坐游5路、游6路、31路、66路到“唐山图书馆”下车即到。

启新水泥工厂博物馆
场馆位置:唐山市路北区新华东道15号启新1889文化创意产业园
公交路线
1路,2路,3路,5路,13路,27路,37路,39路,54路,60路,77路在启新立交桥下车,52路在启新1889下车。
自驾游路线
唐山市路北区新东道与河西路交叉口南100米
迁安市博物馆
场馆介绍
迁安市博物馆于2005年初开始新建,2009年对外开放。是集收藏、展览、研究、公共教育、文化交流于一体的综合性县级博物馆。
开馆时间
上午 08:40-11:40
下午 13:40-17:20
周一闭馆(法定节假日除外)
地址
河北省唐山市迁安市钢城大街
咨询电话
0315-7273529
预约方式
无需预约,入馆需要带身份证。
▌说明:以上文字及图片信息均源自网络,如有侵权请联系我们删除。


还没有评论,来说两句吧...